“通化门”这个名字,原本伴随着唐长安城的消失,早已被大多数西安人淡忘。然而,不久前的西安地铁建设,却让这座城门重回人们的视野,并且跃身为热点话题关键词——它取代了人们甚熟的“金花路”,成为地铁一号线东西向第六站站名,这让对它很是陌生的西安人非常不解。根据当时新闻报道,最初论证时,有六成市民反对这一拟定站名,表示“这个站名根本就没有听过,很容易让大家坐错车!”
但如果时间倒退一千多年,通化门可是家喻户晓的,因为那不仅是一座“出入率”相当高的外郭城门,还“肩负”着重要的“军事意义”和“民用价值”。

位于金花北路与长乐东路十字路口的“通化门”站
重要的“军事要塞”
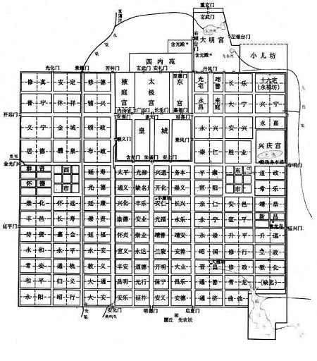
在今天西安东郊长乐路中段金花饭店与西北金花羊毛衫商贸大厦(原羊毛衫城)之间,陕西西北火电工程有限公司东南角,就是当年隋唐通化门的门址。它建于隋初,唐肃宗至德三年(758年)改名达礼门,后又复其原称。门下三门洞。作为唐长安外郭城东面偏北门,它西对皇城延喜门、安福门及郭城西面偏北的开远门,南距春明门2110米。
根据史料记载,初建成时,通化门本不过是长安城众多外郭城门中不起眼的一座,唐高宗永徽五年(公元654年)大修全城城门时,通化门上建起了楼观,一下子雄伟了不少。而也是在唐高宗以后,伴随大明宫逐渐取代太极宫,成为皇帝行宫和皇城中的政治中心,通化门的“地位”,从此突然重要起来。根据史料记载,在唐开元二十年(732年),通化门内还修建了夹城复道。由于临近“东内”大明宫、“南内”兴庆宫,再加上通过这个夹城复道,由大明宫经通化门,可以直通兴庆宫与曲江、芙蓉园,而让外人不知,因此它成为明德门之外,皇帝出入宫城的一座重要外郭城门,也使得一些信息流通和政治权力的运作更具有隐蔽性。
但也正因为此,通化门比别的外郭城门更容易成为兵乱和攻入宫城的首选途径,以及严防宫城的重要据点。这在泾原兵变期间以及晚唐时期表现得最为明显,仅《资治通鉴》中,就出现过至少4次发生在通化门的“严防” “兵乱”等事件记载。根据《资治通鉴》记载,784年6月,唐朝大将李晟在收复被敌人占领的长安时,曾带军到通化门外,向城内耀武示威,敌不敢出城迎战。
皇帝常在这里送亲别臣
唐时,从唐都长安到东都洛阳只有南北两条官道,通化门就是南路的起点,因此当时很多百姓都在通化门外的长乐坡送别亲友,离通化门七里左右的地方有一个驿站,这就是著名的长乐驿。柳宗元在《馆驿使壁记》一文中记载长安城到潼关这条官道上有六个驿站,长乐驿是东出长安的第一驿。著名诗人白居易曾在这里送友感怀之余,吟出《长乐坡送人赋得愁字》:“行人南北分征路,流水东西接御沟。终日坡前恨离别,谩名长乐是长愁。”
而比较稀罕的是,由于此门临近长安城三大内宫殿区,因而虽然属外郭门,唐代皇帝仍特别钟情于在这里饯别东去大臣,以示对他们的倚重之情。但若官员出京西行,皇帝们一般是甚少在外郭城西门开远门践行的——他们一般只行至皇城西门安福门送别,再不往西走了。
西北大学历史系教授、长安史专家张永禄先生告诉记者,历史中有关皇帝在通化门饯别大臣的记载非常之多,如景龙三年(709年)八月十一日,中宗“亲送朔方总管韩国公张仁亶于通化门”(《旧唐书·中宗本纪》)。这次大规模的送别中,不仅中宗李显写了送别诗,大臣们也以《奉和幸望春宫送朔方军大总管张仁亶》为题和了中宗的诗。此外,建中四年(783年),龙武大将军哥舒曜进讨李希烈,德宗送别于通化门;元和三年(803年),李吉甫“充淮南节度使,上御通化门饯之”(《旧唐书·李吉甫传》……
其中,最有名的应该是唐元和十二年(817年)七月的唐宪宗在通化门送裴度——当时,拖了数年之久的讨伐淮西藩镇之战到了关键的时刻,唐宪宗任命宰相裴度为彰义军节度使前往淮西前线指挥作战,当裴度离开长安前往淮西行营,唐宪宗登上通化门城楼为裴度送行。通化门下,裴度向城楼上的宪宗皇帝一拜再拜,含泪辞行,而宪宗更让人送下自己佩戴的犀带赐给裴度。
皇帝们不仅在通化门送别臣子,也在这里送别亲人——唐穆宗就曾在长庆二年五月,在这里送别和亲远嫁至回鹘的第十妹太和公主。

通化门、兴安门位置示意图
“神仙木匠”奚乐山
唐朝时期,通化门除了“送别之处”外,还是一个引水入城的关键通路——从这里引入的龙首渠,解决了长安城近半城人的吃水问题。根据记载,贞元十三年六月辛巳(797年7月25日),“引龙首渠水自通化门入,至太清宫前”(《旧唐书》卷13《德宗本纪下》)。
而“通化门”当时对于民间的重要意义之一,则是“车市”——地位有点类似于如今的玉祥门汽配城。这是因为通化门连接着繁华的通衢大道,而当时的车辆构架多为木质,比较容易损坏,因此许多车店就将这里视为了做生意的最佳地点,车市自然形成。
《太平广记》卷八四《奚乐山》条引《集异记》云,“上都(长安)通化门长店,多是车工之所居也。广备其财,募人集车,轮辕辐毂,皆有定价。每治片輞,通凿三窍,悬钱百文。虽敏手健力器用利锐者,日止一二而已。”这段话除了说明当时通化门修车店之多外,还道出车轮是车辆中的易损件,需求量很大,而车轮最难加工的部位是木车辋(轮子外圈),即便是手艺高强身体健壮工具得力的高手,一天也只能做成两片车辋。也因为有了这重背景,关于“通化门”,因此牵连出一个与“神人”有关的传说。
同样出于这本唐朝《集异记》记载,有一年冬日,一个陌生工匠带着斧凿来到通化门旁一家车店找活干,他自报姓名叫奚乐山。店主在考验他后,发现此人技术精湛,就决定录用。没想到奚乐山并不满足店主给他的活计,提出要更多做车辋的木料。店主于是故意作难他,给了他足够做六百车辋的木头,想看奚乐山出丑。
奚乐山却一口应承下来,又提出一个要求,请店主预备些灯烛。店主看出他这是要连夜赶工,就满足了他。奚乐山立刻在一间房子里开始工作,人们很想看看他究竟怎么加工车辋,但由于房门紧闭,外面的人只能听见斧凿发出的响声。一天一夜,这种斧凿声没有间断过。
第二天清晨,奚乐山告诉众人自己完成了六百片车辋,这不可思议的速度使店主大惊失色,立即提出要验活,还特邀一众邻居同行组成了“验活小组”。最终大家心服口服。奚乐山拿了工钱走了,店主派人秘密尾随,想要搞清楚他要到哪里去,可尾随的人却很快就把人跟丢了,不过在目标失踪之前,他看见奚乐山把一些钱分发给乞丐和穷人。店主和同行因此一致认为奚乐山是个神仙。

“通化门”站的简介
通化门的今生和未来
虽然长安的都城岁月已经故去,但如今的通化门门址处,仍延续了千年前车轮滚滚、异常繁忙的景象。所不同的是,在新城市背景下,“通化门”这个名字伴随不复存的通化门逐渐被现代人淡忘,取而代之的是以金花路为中心的西安东城商贸体系构建完成——长期累积起的商业和交通禀赋,以及现代城市机制下构建起的工业、商业、教育、交通等系统在附近区域的完善,让金花路区域逐渐显示出自己在城市中的重要性。
也许正因为如此,去年,当得知叫了多年的“金花路”站将在地铁中被“通化门”站取代,会有那么多市民摸不着头脑。而专家们则在研讨时认为,“对位于历史较悠久区域的地铁站,应该根据自身的历史文化背景取名,才能突出地铁站自身的特色,打造属于西安的历史文化。地铁站名不但要对市民起到基本的交通指引,还要集中体现西安的历史文化底蕴和国际化大都市的现代风采。”也正出于这些考量,“通化门”得以借由地铁,重回人们的视线。
眼下,地铁通化门站主体已经封顶。记者从工作人员口中得知,它是地铁一号线中规模最大、基坑最深、施工难度最高的车站。未来,这个位于金花北路与长乐东路十字路口的车站,将是地铁一号线与三号线的换乘站,它紧邻东二环高架桥,周围以商业建筑和住宅小区为主,又依傍西北地区最大的轻工商品批发集散地,可以预见,“通化门”站将在不久的未来,重现当年通化门的重要交通枢纽地位。
(来源于《西安晚报》2011年1月9日第11版文化周刊西安地理栏目; 文、图:孙欢 邱田甜)
